/odishatv/media/post_attachments/uploadimage/library/16_9/16_9_0/IMAGE_1678274129.webp)
Cyclone Freddy: Know all about world's longest-lived tropical storm
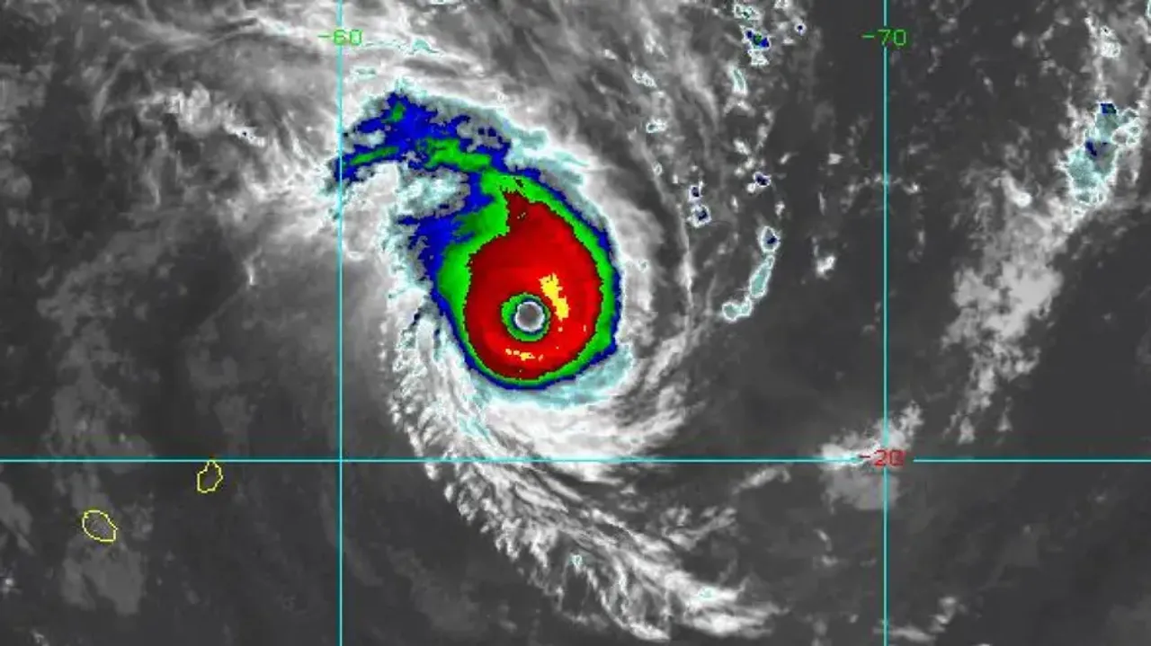
A very intense tropical cyclone named Freddy has become the longest-lived tropical cyclone on record, surpassing Hurricane John's record of 31 days.
The storm which formed in the Indian Ocean on February 6, 2023 continues its dangerous journey and is re-strengthening over the Mozambique Channel.
India Meteorological Department (IMD), Bhubaneswar scientist Umasankar Das in a tweet revealed about the long journey of cyclone Freddy and wrote, “Very Intense Tropical #CycloneFreddy is the #longest-lived tropical cyclone on record surpassing Hurricane #John's record of #31days.”
And the long journey of Cyclone #Freddy continues...
Very Intense Tropical #CycloneFreddy is the #longest-lived tropical cyclone on record surpassing Hurricane #John's record of #31dayspic.twitter.com/NmCtu0MjIh
— usd (@usd0705) March 8, 2023
As per the World Meteorological Organisation (WMO), Freddy was developed off the North Australian coast and became a named storm on 6 February.
It crossed the entire South Indian Ocean and made landfall in Madagascar on 21 February and then in Mozambique on 24 February. The storm has caused at least 21 deaths so far.
According to NASA, Freddy has set the record for having the highest accumulated cyclone energy (ACE) of any southern hemisphere storm in history.
“Freddy is now moving away from Madagascar and is expected to intensify as it moves again towards Mozambique, according to WMO’s Regional Specialized Meteorological Centre La Réunion (Meteo-France),” the WMO said in a release.
“Freddy could possibly make landfall as a tropical cyclone at the end of the week, but the forecast is still too uncertain to be able to precise timing and exposed areas,” the WMO added.
As per sources, a circulation system goes through a sequence of stages as it intensifies into a mature tropical cyclone. The key stages in the lifecycle of a typical tropical cyclone are incipient disturbance, tropical storm, tropical cyclone (hurricane, typhoon), and possibly severe tropical cyclone (major hurricane, supertyphoon).
Till date, the world record of longest tropical cyclone was held by Hurricane/Typhoon John, which lasted 31 days in 1994.
/odishatv/media/agency_attachments/2025/07/18/2025-07-18t114635091z-640x480-otv-eng-sukant-rout-1-2025-07-18-17-16-35.png)

/odishatv/media/media_files/2025/09/22/advertise-with-us-2025-09-22-12-54-26.jpeg)
