/odishatv/media/post_attachments/uploadimage/library/16_9/16_9_0/Hurricane_1624884935.jpg)
Pointe-a-Pitre: The French part of the Caribbean island St Martin is "95 percent destroyed" after Hurricane Irma tore through the region, top local official Daniel Gibbs has said.
"It's an enormous catastrophe. Ninety-five percent of the island is destroyed. I'm in shock. It's frightening," said Gibbs, a former French lawmaker, speaking on Radio Caribbean International yesterday.
The island is in need of emergency assistance, he said.
"I have sick people to evacuate, I have a population to evacuate because I don't know where I can shelter them," he said.
At least six people have been killed in the French part of St Martin, Guadeloupe prefect Eric Maire said.
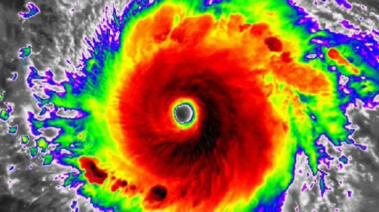
Hurricane Irma, one of the most powerful Atlantic storms on record, cut a deadly swath through a string of small Caribbean islands yesterday.
The French minister for overseas affairs, Annick Girardin, was to fly to Guadeloupe late yesterday with emergency teams and supplies to assess the situation, the ministry said.
"It's too soon for casualty figures (but) I can already tell you the toll will be harsh and cruel," French President Macron said, adding that he expected damage on St Barts and St Martin to be "considerable".
St Martin ("Sint Maarten" in Dutch), located south of the island of Anguilla, is divided between the Netherlands and France.
St Barts ("Saint Barthelemy" in French), which lies to the southeast of St Martin, is administered with the status of a French collectivity, as is the French part of St Martin.
/odishatv/media/agency_attachments/2025/07/18/2025-07-18t114635091z-640x480-otv-eng-sukant-rout-1-2025-07-18-17-16-35.png)

/odishatv/media/media_files/2025/09/22/advertise-with-us-2025-09-22-12-54-26.jpeg)
