hurricane-irma
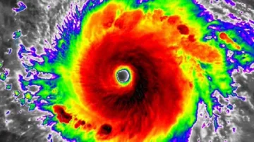
Category 5 hurricane Maria hits Dominica island
International
Sep 19, 2017 11:30
IST
Three storms rage across Atlantic
Sep 17, 2017 14:15 IST
Hurricane Irma leads to delay in launching of Bangladesh's first satellite
Sep 15, 2017 08:18 IST
Hurricane Irma makes landfall in Florida
Sep 11, 2017 06:07 IST
Hurricane Irma: Cuba evacuates 700,000 people
Sep 08, 2017 11:18 IST
Hurricane Irma destroys '95%' of French part of St Martin: Official
Sep 07, 2017 08:40 IST
/odishatv/media/agency_attachments/2025/07/18/2025-07-18t114635091z-640x480-otv-eng-sukant-rout-1-2025-07-18-17-16-35.png)
/odishatv/media/post_attachments/uploadimage/library/16_9/16_9_0/Maria_1625551661.jpg)
/odishatv/media/post_attachments/uploadimage/library/16_9/16_9_0/Atlantic_1625550691.jpg)
/odishatv/media/post_attachments/uploadimage/library/16_9/16_9_0/satelite_1625549468.jpg)
/odishatv/media/post_attachments/uploadimage/library/16_9/16_9_0/irma1_1625548258.jpg)
/odishatv/media/post_attachments/uploadimage/library/16_9/16_9_0/Cuba-evacuates-700000-people-as-Hurricane-Irma-nears-2-680x454_1625547692.jpg)
/odishatv/media/post_attachments/uploadimage/library/16_9/16_9_0/Hurricane_1624884935.jpg)
