/odishatv/media/post_attachments/uploadimage/library/16_9/16_9_0/recent_photo_1684062320.webp)
Cyclone Mocha makes landfall along Bangladesh, Myanmar coasts
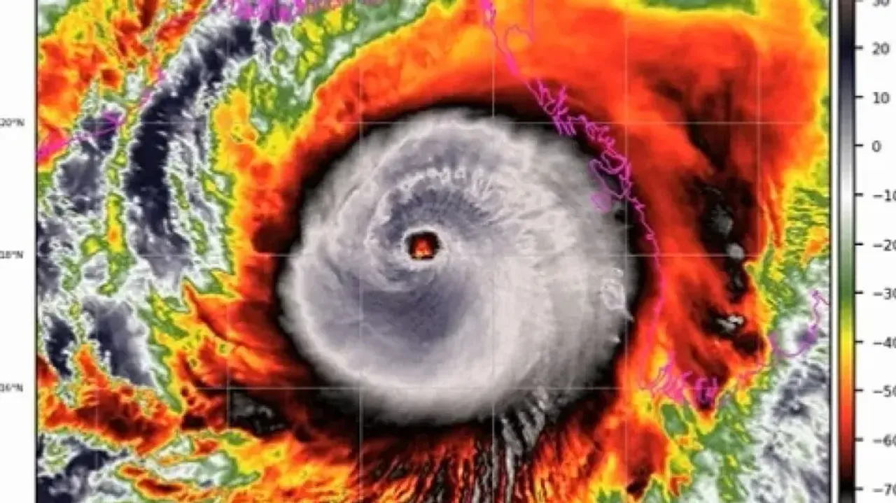
Super cyclone Mocha made landfall along the Myanmar-Bangladesh coasts on Sunday after intensifying into the equivalent of a category-five storm, a senior Met official said.
The powerful made landfall shortly after midday on the Teknaf shorelines before making its way through the Naf River that divides Bangladesh and Myanmar.
"The eye' or the centre point of the cyclone made its landfall shortly after midday today on the Teknaf shorelines, coming through the Naf River, ahead of its anticipated time," Bangladesh Met office spokesman AKM Nazmul Huda told PTI.
He said the tail or the rest part of the severe storm, which was categorised as a very dangerous category-five cyclone, might take more time to cross the coastlines.
Administrative chief of Teknaf sub-district of Bangladesh's southeastern Cox's Bazar Mohammad Quamruzzaman said the wind was blowing at a speed of over 200 kilometres per hour in Taknaf and its southernmost part Shahpori Dip along the Bay of Bengal.
Teknaf is close to Myanmar and separated from northern Myanmar coasts by the Naf River.
"The weather is frightening because of the very high velocity of wind but we are yet to see the much-feared massive tidal surges," Quamruzzaman said.
The weather officials said the Naf River was currently witnessing high tides that began at 11 am and would continue until 5 PM (local time).
The officials and residents in Cox's Bazar said cyclone Mocha was bringing with it heavy rain and winds of up to 195kph and feared it may lead to dangerous flooding in areas around the Bay of Bengal.
Storm surges of up to four metres could swamp villages in low-lying areas. There are fears it may hit the world's largest refugee camp, Cox's Bazar, where over one million displaced Muslim Rohingya refugees live in makeshift camps.
Earlier, the Bangladesh Met Office issued the highest danger signal 10 for Cox's Bazar.
Cyclone Mocha started hitting the coastlines of Bangladesh and Myanmar on Sunday after intensifying into the equivalent of a category-five storm.
The powerful cyclone brought heavy rain and winds of up to 195 kph.
The forecast was it will make landfall with heavy rains and winds on Sunday afternoon.
The low-lying areas of Cox's Bazar and Chattogram are likely to be inundated by wind-driven tidal surges eight to 12 feet above normal.
Tidal surges of five to seven feet above normal are also likely to deluge low-lying parts of Feni, Noakhali, Laxmpur, Chandpur, and Bhola, bdnews24.com reported.
Meteorologists previously warned Mocha could be the most powerful storm seen in Bangladesh in nearly two decades.
Around 500,000 people have been evacuated to safer areas by the Bangladesh government.
As part of its preparation, Bangladesh shut nearby airports, ordered fisherfolks to suspend their work and set up 1,500 shelters as people from vulnerable areas were moved to safer spots.
Officials said the government, with the support of UN agencies and aid workers, has kept tonnes of dry food and dozens of ambulances ready with mobile medical teams in sprawling camps of the Rohingyas who fled to Bangladesh from Myanmar.
Residents and officials fear the Mocha-triggered tidal surges could cause massive deluges and landslides, endangering the lives of those residing in hillside camps, where mudslides hit regularly.
The World Meteorological Organisation, a United Nations agency, has warned the super cyclone will cause heavy rain, flooding, and landslides around the coasts of Bangladesh and Myanmar.
/odishatv/media/agency_attachments/2025/07/18/2025-07-18t114635091z-640x480-otv-eng-sukant-rout-1-2025-07-18-17-16-35.png)

/odishatv/media/media_files/2025/09/22/advertise-with-us-2025-09-22-12-54-26.jpeg)
